
0 Via Sombra
Fontana, CA 92337
$659,900
For Sale
Local Information
About this home
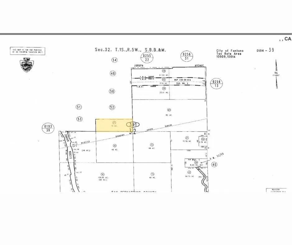
Vacant land consisting of 15 acres with opportunity to build custom homes per half acre lot. Utilities are on site - water, electric and sewer. Located in desirable area of Fontana with easy access to major shopping, 10 & 60 freeway.
Home Highlights
Land
None
15 sq ft
No Info
No Info
Home Details for 0, Via Sombra
Interior Features
Appliances & Utilities
- Utilities: Other Water/Sewer, Water/Sewer See Remarks, Electricity Connected, Natural Gas Connected, Sewer On Site
Exterior Features
Parking & Garage
- Garage: No Garage
Pool & Views
- Private Pool: No Private Pool
- Views: City Lights, Mountain(s)
Water & Sewer
- Water Source: Public
Property Information
Property Information
- Parcel Number: 0194391270000
- Lot Size (sq ft): 653,400
Property Type & Style
- Type: Land
- Subtype: Unimproved Land
Location
- Directions: From Via Reata, Right on Via So
Listing Attribution
- Agent Name: MEG MONTEFALCON
- Brokerage: EXP REALTY OF CALIFORNIA INC.
- Contact: 909-904-2042
Bay East ©2024 CCAR ©2024. bridgeMLS ©2024. Information Deemed Reliable But Not Guaranteed. This information is being provided by the Bay East MLS, or CCAR MLS, or bridgeMLS. The listings presented here may or may not be listed by the Broker/Agent operating this website. This information is intended for the personal use of consumers and may not be used for any purpose other than to identify prospective properties consumers may be interested in purchasing. Data last updated at 4/29/2025, 11:42:47 AM PDT.